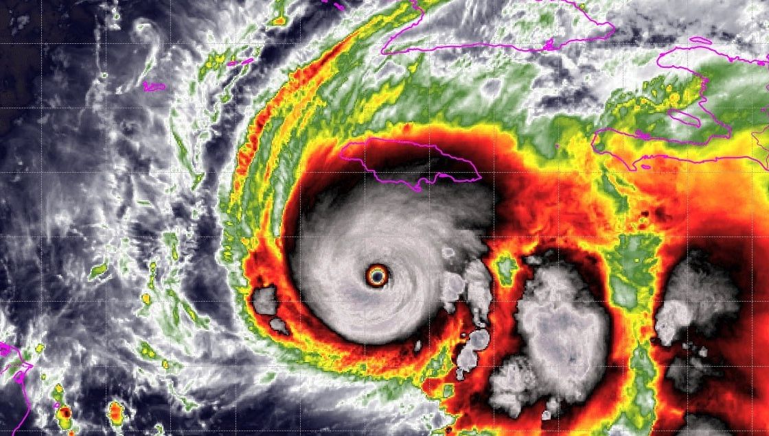
Sube a 45 la cifra de muertos y a 15 los desaparecidos por el huracán Melissa en Jamaica

El Gobierno de Jamaica informó este martes que la cifra de fallecidos tras el paso del devastador huracán Melissa, que impactó al país caribeño como categoría 5, se incrementó a 45 y a 15 el número de...















